예약내역
|
로그인
|
회원가입
|
고객센터
실시간예약
조황정보
먹물조황
선박소개
공지사항
기상안내
1:1문의하기
조황관리
HOME /
조황관리
/ 상세정보
제목 :
10월31일 남당항아바타호 선상찌낚시 조황입니다
복사
등록일 :
2025-10-31
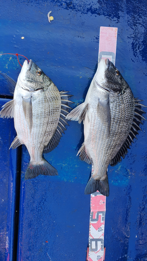
10월에 마지막날 외만선상
다녀 왔습니다.
벗겨지고 터진것 5~6회 ...,
사이즈, 마릿수 괜찮네요.
오늘도 5짜가 2수~
캔옥수수 꼭 준비하세요.
고생 많이 하셨습니다.
*** 남당항 아바타호 예약 안내 ***
예약문의 : 010-5431-8045
오시는길 : 충남 홍성군 갈산면 천수만로 977 서진낚시 홍성점
홈페이지 :
https://avatar.sunsang24.com/
이전글
다음글
조황관리목록
Top