조황관리HOME / 조황관리 / 상세정보

제목 : 9월8일 남당항아바타호 선상찌낚시 조황입니다
등록일 : 2025-09-08
























주꾸미 출조 이후 9월 첫선상찌낚시 
다녀 왔습니다.
오늘 새벽에는 선선하니 가을날씨 같았네요.
낮에도 구름 때문에 덥지 않게 낚시 하였습니다.
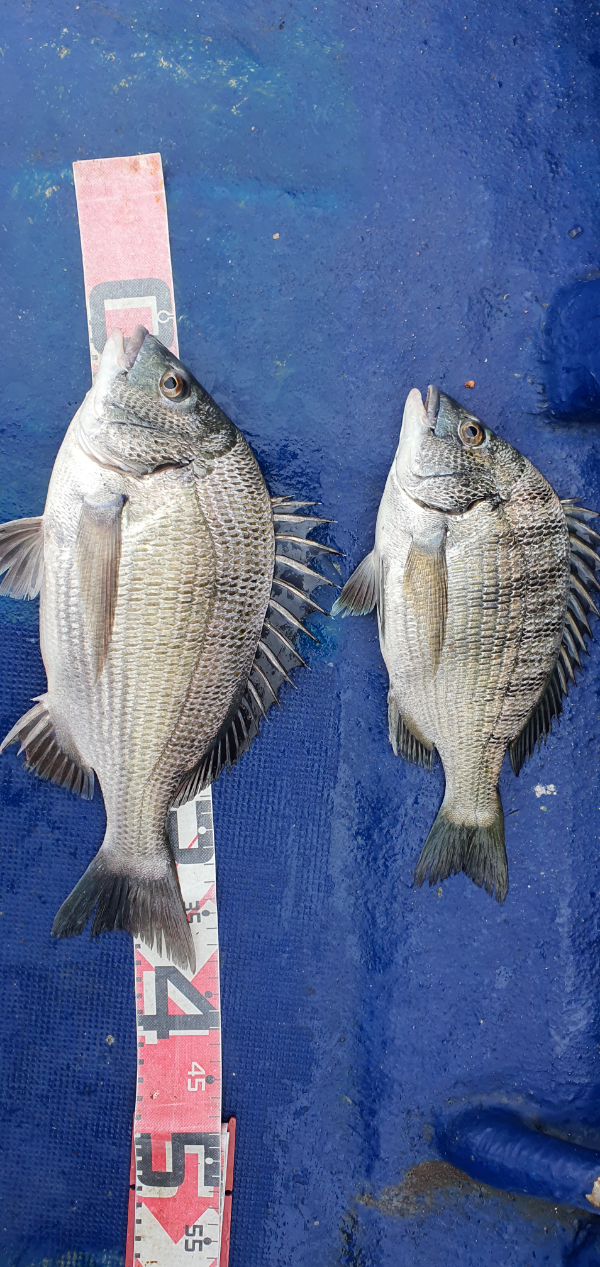
23차례 입질중 원줄 터짐 1회, 목줄 터짐 6회,
바늘 벗겨짐 2회, 아가참돔 방생 1수를 제외하고
참돔 2수, 감성돔 11수 조황 입니다.
50센티 감성돔 1수가 나와 주었네요.
내일은 개인 일정이 있어 출조가 안되고
수요일,  목요일 기본인원(4인 이상) 되면 
다시 출조합니다.
오늘도 고생 많이 하셨습니다.



*** 남당항 아바타호 예약 안내 ***


예약문의 : 010-5431-8045

오시는길 : 충남 홍성군 갈산면 천수만로 977 서진낚시 홍성점

모바일.jpg 

Top