| 제목 : 8월22일 남당항아바타호 선상찌낚시 조황입니다 | ||
| 등록일 : 2025-08-23 | ||
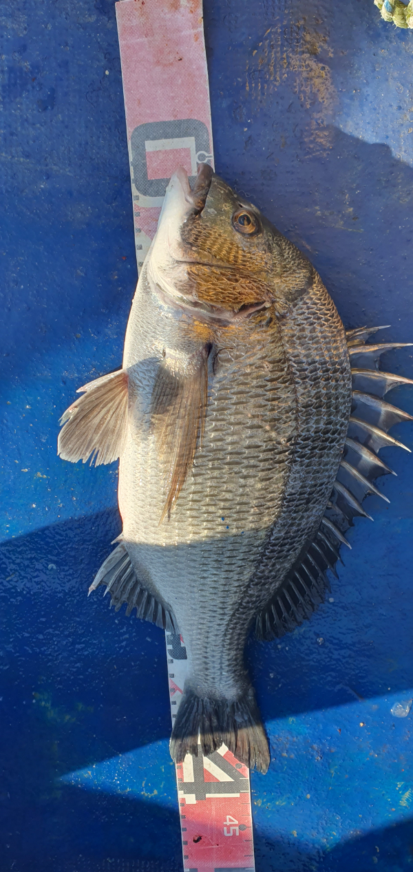
![]() ![]() ![]() ![]() ![]() ![]() ![]() ![]() ![]() ![]() ![]() 네분 출조에 23차례 입질중 목줄 5번, 원줄1번 터지고 바늘 벗겨짐 4회로 렌딩 성공율이 60퍼센트 밖에 안됐네요. 평균 사이즈가 훌륭합니다. 54, 52 , 49, 45...., 추석연휴 때를 제외하고는 주말, 휴일 출조 가능한날이 8월 밖에 없습니다. 서툴러 출조 하세요~ 11~12월에 기상이 협조하면 좋으련만..., *** 남당항 아바타호 예약 안내 *** 예약문의 : 010-5431-8045 오시는길 : 충남 홍성군 갈산면 천수만로 977 서진낚시 홍성점 |
||