조황관리HOME / 조황관리 / 상세정보

제목 : 8월21일 남당항아바타호 선상찌낚시 조황입니다
등록일 : 2025-08-21





















6월중순이후 한참만에 출조 했네요.
어제 저녁에 출조가 잡혀 내만으로 선상
다녀 왔습니다.
한동안 내만쪽 물색도 않좋고 분위기도
않좋아 보였지만  물때가 좋아서 
그냥 마음 비우고 가벼운 마음으로
출조 다녀 왔습니다.
썰물에는 대상어에 입질을 못받았으나
들물에 우당탕~ 일타일피 입질을 하네요.
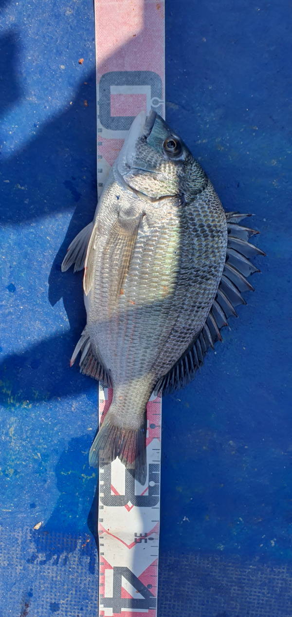
2시30분 동안 부부 두분이 55수
대박 조황입니다.
30~ 39센티로 사이즈도 나쁘지 않네요.
절반은 방생하고 절반만 가져 갔습니다.
오늘도 물때를 비롯해서 조건이 잘 맞았나 보네요.
낼부터는 외만으로 출조 합니다.



*** 남당항 아바타호 예약 안내 ***


예약문의 : 010-5431-8045

오시는길 : 충남 홍성군 갈산면 천수만로 977 서진낚시 홍성점

모바일.jpg 

Top